Swedish Museum of Natural History

Types of Heteroptera


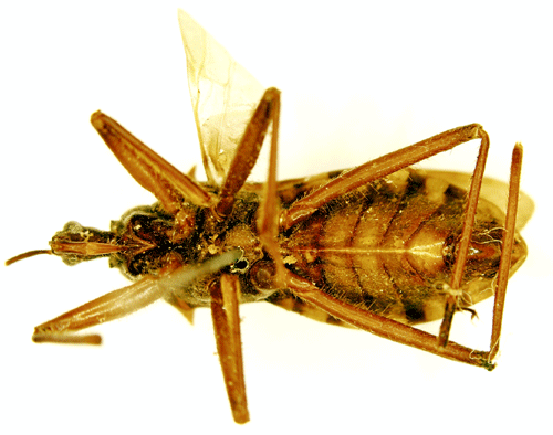
Acanthaspis angularis Stål, 1859.

Reference: Stål, C. 1859, Till kännedom om Reduvini - Öfversigt af Kongliga Vetenskaps-Akademiens Förhandlingar sextonde årgången, No. 4, p. 188.
Return to species-list.