Swedish Museum of Natural History

Types of Heteroptera


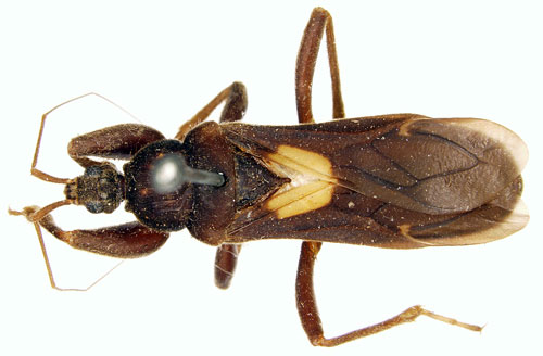
Brachysandalus alutaceus Reuter, 1881.

Reference: Reuter, O. M. 1881, Ad Cognitionem Reduviidarum - Acta Societatis Scientiarum Fennicae vol. 12, Helsingfors, p. 46.
Return to species-list.