Swedish Museum of Natural History

Types of Heteroptera


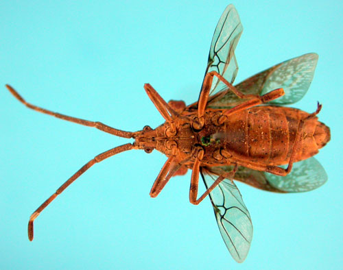
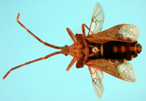
Prismatocerus auriculatus Stål, 1865.

Reference: Stål, C. 1865, Hemiptera africana. Tomus secundus. (2) pp. 64-65.
Return to species-list.