Swedish Museum of Natural History

Types of Heteroptera


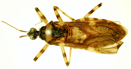
Reduvius annulatus Stål, 1855.

Reference: Stål, C. 1855, 3. Nya Hemiptera - Öfversigt af Kongliga Vetenskaps-Akademiens Förhandlingar tolfte årgången p. 188.
Return to species-list.