Swedish Museum of Natural History

Types of Heteroptera


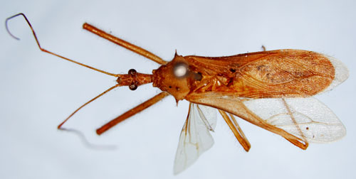
Heza annulicornis Stål, 1872.

Reference: Stål, C. 1872, Enumeratio Hemipterorum. Bidrag till en förteckning öfver alla hittills kända Hemiptera, jemte systematiska meddelanden - Kongliga Svenska Vetenskaps-Akademiens Handlingar, Ny Följd, Tionde bandet, N:o 4. p. 77.
Return to species-list.