Swedish Museum of Natural History

Types of Heteroptera


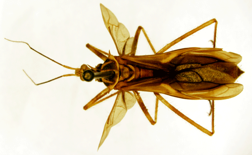
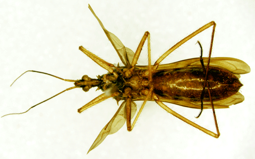
Spiniger amazonus Stål, 1867.

Reference: Stål, C. 1867, Bidrag till Reduviidernas kännedom - Öfversigt af Kongliga Vetenskaps-Akademiens Förhandlingar tjugondetredje årgången, N:o 9, pp. 300-301.
Return to species-list.