Swedish Museum of Natural History

Types of Heteroptera


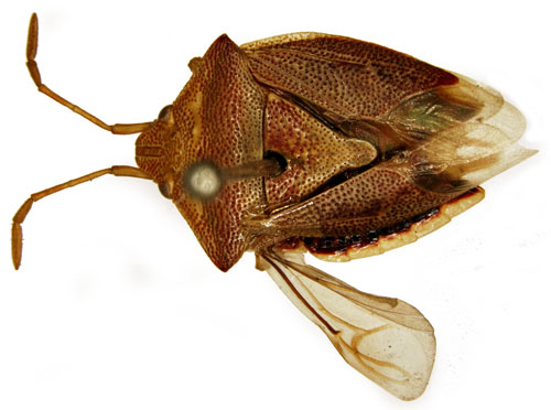
Andriscus bifasciculatus Reuter, 1881.

Reference: Reuter, O. M. 1881, Acanthosomina et Urolabidina nova et minus cognita (Specimina typica specierum inferne descriptarum in Museo regio Holmiensi asservantur) descripsit - Berliner Entomologische Zeitschrift, Band 25, Berlin, pp. 67-68.
Return to species-list.