Swedish Museum of Natural History

Types of Heteroptera


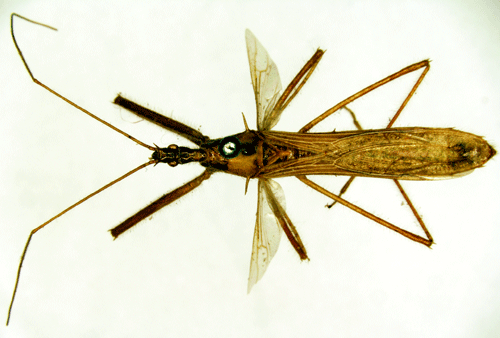
Doldina bicarinata Stål, 1866.

Reference: Stål, C. 1866, Bidrag till Reduviidernas kännedom - Öfversigt af Kongliga Vetenskaps-Akademiens Förhandlingar tjugondetredje årgången, N:o 9, p. 296.
Return to species-list.