Swedish Museum of Natural History

Types of Heteroptera


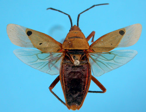
Odontopus binotatus Stål, 1863.

syn to Odontopus nigricornis Stål, 1861

Reference: Stål, C. 1863, Beitrag zur Kenntniss der Pyrrhocoriden - Berliner Entomologische Zeitschrift Siebenter Jahrgang, Heftes 3-4, p. 393.
Return to species-list.