Swedish Museum of Natural History

Types of Heteroptera


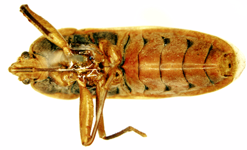
Physopelta bimaculata Stål, 1855.

syn to Physopelta gutta Burmeister, 1834

Reference: Stål, C. 1855, 3. Nya Hemiptera - Öfversigt af Kongliga Vetenskaps-Akademiens Förhandlingar tolfte årgången p. 186.
Return to species-list.