Swedish Museum of Natural History

Types of Heteroptera


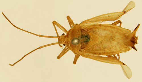
Urolabida bipunctata Stål, 1870.

Reference: Stål, C. 1870, Hemiptera insularum Philippinarum. Bidrag till Philippinska öarnes Hemipter-fauna - Öfversigt af Kongliga Vetenskaps-Akademiens Förhandlingar tjugondesjunde årgången, N.o 7 p. 641.
Return to species-list.