Swedish Museum of Natural History

Types of Heteroptera


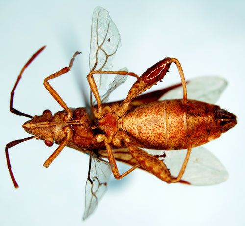
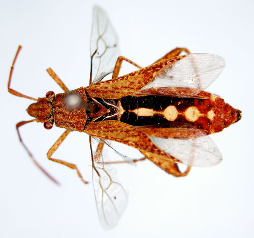
Apidaurus conspersus Stål, 1870.

Reference: Stål, C. 1870, Enumeratio Hemipterorum. Bidrag till en förteckning öfver alla hittills kända Hemiptera - Kongliga Svenska Vetenskaps-Akademiens Handlingar, Ny Följd, Nionde bandet, Första häftet. p. 210.
Return to species-list.