Swedish Museum of Natural History

Types of Heteroptera


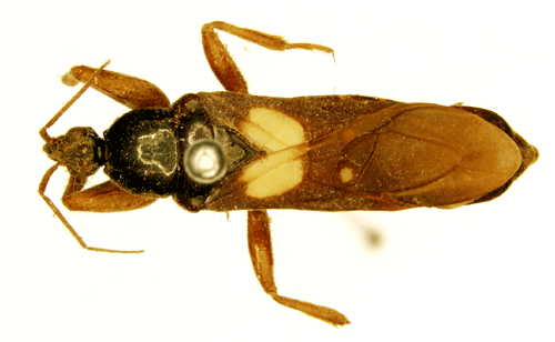
Ectomocoris cordiger Stål, 1867.

Reference: Stål, C. 1867, Bidrag till Reduviidernas kännedom - Öfversigt af Kongliga Vetenskaps-Akademiens Förhandlingar tjugondetredje årgången, N:o 9, pp. 256-257.
Return to species-list.