Swedish Museum of Natural History

Types of Heteroptera


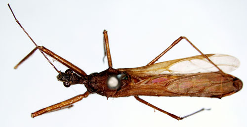
Atrachelus dietrichi Elkins, 1954.
Reference: Elkins, J. C. 1954, A New American Harpactorine genus (Hemiptera, Reduviidae). - Texas Reports on Biology and Medicine, Vol 12. pp. 106,115.
Return to species-list.