Swedish Museum of Natural History

Types of Heteroptera


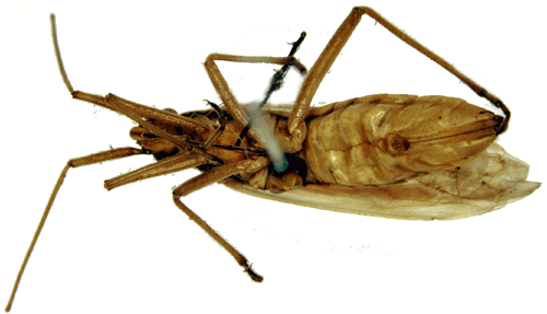
Miris dohrni Stål, 1860.

Reference: Stål, C. 1860, Hemiptera Species novas descripsit - Kongliga Svenska Fregatten Eugenies resa omkring jorden, Vetenskapliga iakttagelser vol II, Zoologi, del 1, insecta, 1860. p. 254.
Return to species-list.