Swedish Museum of Natural History

Types of Heteroptera


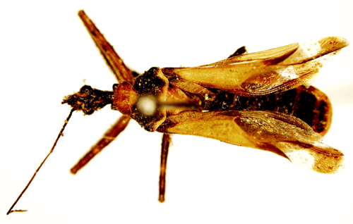
Hiranetis fusco-apicata Stål, 1860.

Reference: Stål, C. 1860, Bidrag till Rio Janeiro-Traktens Hemipter-Fauna - Kongliga Svenska Vetenskaps-Akademiens Handlingar, Ny Följd, Andra bandet, Andra häftet, 1858. p. 76.
Return to species-list.