Swedish Museum of Natural History

Types of Heteroptera


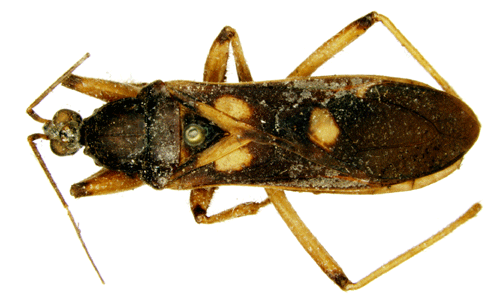
Peirates flavo-pustulatus Stål, 1859.

syn to Ectomocoris maculicrus Fairmaire, 1858

Reference: Stål, C. 1859, Hemipterologiska bidrag - Öfversigt af Kongliga Vetenskaps-Akademiens Förhandlingar femtonde årgången p.442.
Return to species-list.