Swedish Museum of Natural History

Types of Heteroptera


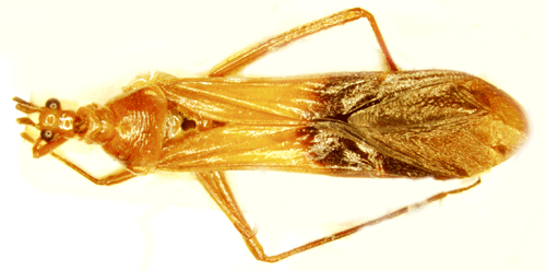
Disphinctus fallenii Stål, 1871.

Reference: Stål, C. 1871, Hemiptera insularum Philippinarum. Bidrag till Philippinska öarnes Hemipter-fauna - Öfversigt af Kongliga Vetenskaps-Akademiens Förhandlingar tjugondesjunde årgången, N.o 7 p. 668.
Return to species-list.