Swedish Museum of Natural History

Types of Heteroptera


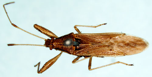
Pachygrontha longiceps Stål, 1874.

Reference: Stål, C. 1874, Enumeratio Hemipterorum, Bidrag till en förteckning öfver alla hittills kända Hemiptera, jemte systematiska meddelanden, 4 - Kongliga Svenska Vetenskaps-Akademiens Handlingar, Ny Följd, Tolfte bandet, N:o 1. p. 140.
Return to species-list.