Swedish Museum of Natural History

Types of Heteroptera


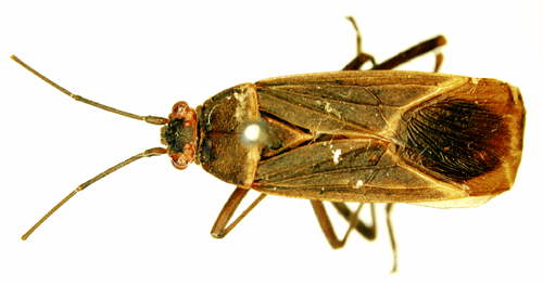
Serinetha moesta Stål, 1855.

syn to Serinetha amicta Germar, 1837

Reference: Stål, C. 1855, 5. Hemiptera från Kafferlandet - Öfversigt af Kongliga Vetenskaps-Akademiens Förhandlingar tolfte årgången p. 29.
Return to species-list.