Swedish Museum of Natural History

Types of Heteroptera


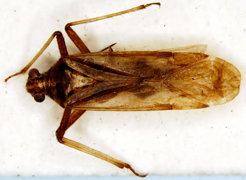
Phytocoris nevadensis Lindberg, 1934.
Reference: Lindberg, H. 1934, Inventa entomologica itineris Hispanici et Maroccani, quod a. 1926 fecerunt Harald et Håkan Lindberg. XX. In Spanien gesammelte Miriden - Societas Scientiarum Fennica, Commentationes Biologicae IV N:o 12. pp. 6-7, Helsingfors.
Return to species-list.