Swedish Museum of Natural History

Types of Heteroptera


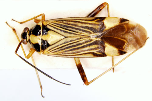
Calocoris pulcherrimus Lindberg, 1934.
Reference: Lindberg, H. 1934, Verzeichnis der von R. Malaise im Jahre 1930 bei Vladivostok gesammelten Heteropteren - Notulae Entomologicae Årgång 14 N:o 1-2. p. 16, Helsinki.
Return to species-list.