Swedish Museum of Natural History

Types of Heteroptera


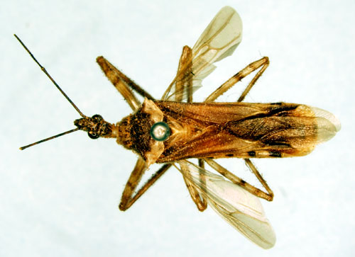
Repipta subinermis Stål, 1862.

Reference: Stål, C. 1862, Hemiptera mexicana enumeravit speciesque novas descripsit - Entomologische Zeitung entomologischen Vereine zu Stettin, 23 Jahrgang, No: 10-12, p. 447.
Return to species-list.