Swedish Museum of Natural History

Types of Heteroptera



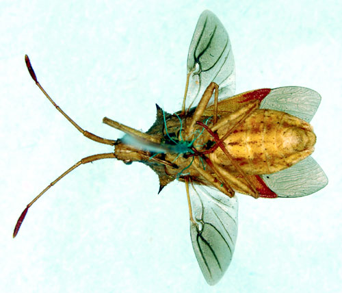
Cletus saucius Stål, 1873.

Reference: Stål, C. 1873, Enumeratio Hemipterorum, Bidrag till en förteckning öfver alla hittills kända Hemiptera, jemte systematiska meddelanden - Kongliga Svenska Vetenskaps-Akademiens Handlingar, Ny Följd, Elfte bandet, Andra häftet, 1873. p. 78.
Return to species-list.