Swedish Museum of Natural History

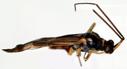
Types of Heteroptera


Cyllocoris sordidus Lindberg, 1934.

syn to Cyllecoris equestris Stål, 1858

Reference: Lindberg, H. 1934, Swedish-Chinesische Wissenschaftliche Expedition nach den Nordwestlichen provinzen Chinas, 47. Hemiptera 2. Hemiptera Heteroptera - Arkiv för Zoologi Band 27 A. N:o 28. pp. 40-41.
Return to species-list.