Swedish Museum of Natural History

Types of Heteroptera


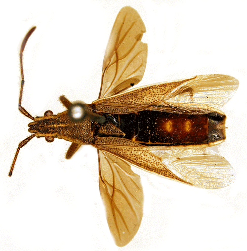
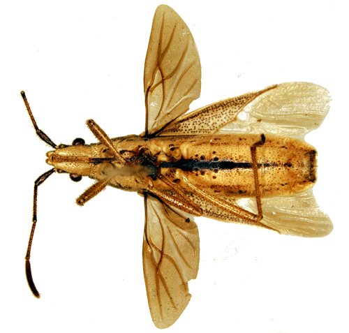
Darmistus subvittatus Stål, 1860.

Reference: Stål, C. 1860, Till kännedomen om Coreida - Öfversigt af Kongliga Vetenskaps-Akademiens förhandlingar sextonde årgången, No. 9, p. 469.
Return to species-list.