Swedish Museum of Natural History

Types of Heteroptera


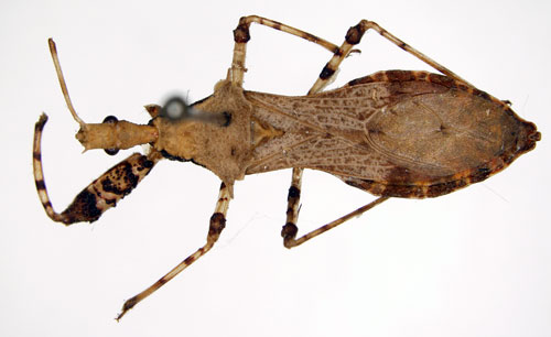
Diarthrotarsus stali Wygodzinsky, 1948.

Reference: Wygodzinsky, P. 1948, El genero Diarthrotarsus Bergroth, 1905 (Harpactorinae, Reduviidae, Hemiptera) - Acta Zoologica Lilloana tomo 6, pp. 210-213.
Return to species-list.