Swedish Museum of Natural History

Types of Heteroptera


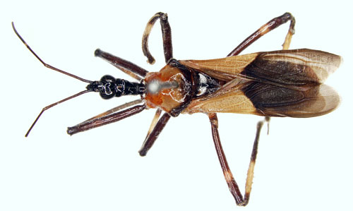
Heniartes stali Wygodzinsky, 1953.

Reference: Wygodzinsky, P. 1953, Contribuicao ao conhecimento dos generos Heniartes Spinola, 1837 e Agriocleptes Stal, 1866 (Apiomerinae, Reduviidae, Hemiptera) - Revista Brasileira de Biologia vol. 13 Numero 4, pp. 372-373.
Return to species-list.