Swedish Museum of Natural History

Types of Heteroptera


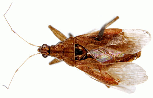
Nabis sericans Reuter, 1872.

Reference: Reuter, O. M. 1872, Nabidae novae et minus cognitae. Bidrag till Nabidernas kännedom - Öfversigt af Kongliga Vetenskaps-Akademiens Förhandlingar tjugonionde årgången, No. 6, pp. 83-84.
Return to species-list.