Swedish Museum of Natural History

Types of Heteroptera


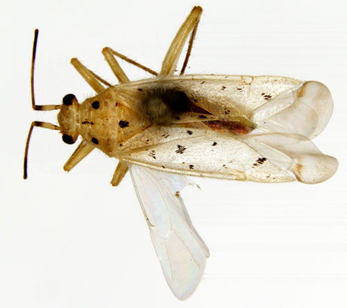
Ilnacora stalii Reuter, 1876.

Reference: Reuter, O. M. 1876, Capsinae ex America boreali in Museo Holmiensi asservatae, descriptae ab - Öfversigt af Kongliga Vetenskaps-Akademiens Förhandlingar trettiondeandra årgången (1875), No. 9, Stockholm, p. 86.
Return to species-list.