Swedish Museum of Natural History

Types of Heteroptera


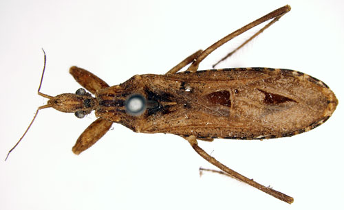
Oncocephalus tibialis Reuter, 1882.

Reference: Reuter, O. M. 1882, Monographia generis Oncocephalus Klug - Acta Societatis Scientiarum Fennicae vol. 12, Helsingfors, pp. 40-41.
Return to species-list.