Swedish Museum of Natural History

Types of Heteroptera


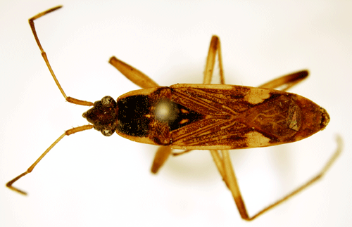
Rhyparochromus umbrifer Stål, 1855.

Reference: Stål, C. 1855, 5. Hemiptera från Kafferlandet - Öfversigt af Kongliga Vetenskaps-Akademiens Förhandlingar tolfte årgången p. 33.
Return to species-list.